/
Data Last Updated: 05/27/2026 19:58 PT
$165,000
162days on marketSold$135,000 · February 23, 2026
Send a tour request for 0 5th ST, Lafayette, OR, 97127.
Hand-routed to Nate Brantley, Principal Broker & Founder. You can expect a same-day reply during business hours.
Your contact details stay private to our team and are only used to coordinate this showing.
Sign in once with your email to send this showing request and keep spam out of the lead system.
We do not post your info publicly or share it outside your showing request.
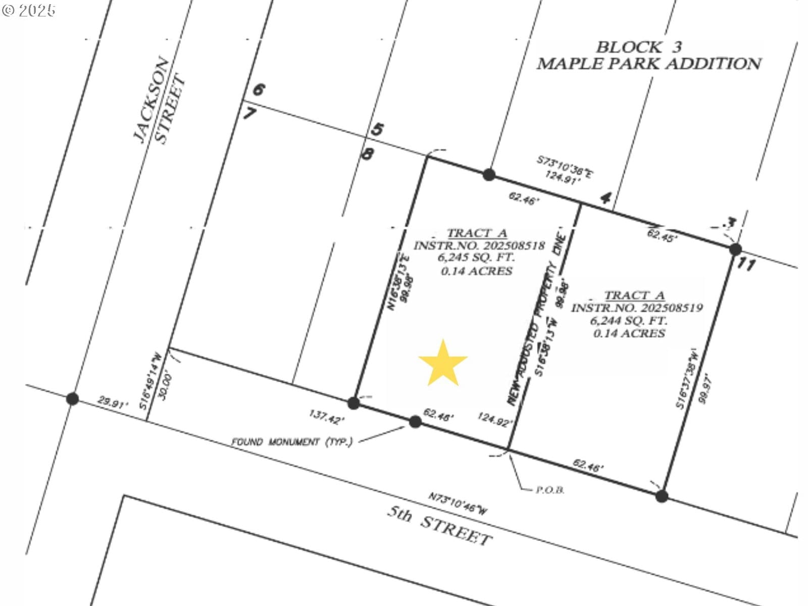
Flat, vacant lot for residential use, zoned R1 in the City of Lafayette. Build a single-family residence in a growing community with convenient access to McMinnville and Newberg. Lafayette sits in the heart of the Valley, surrounded by Oregon's beautiful wine country. The neighboring lot is listed separately.
Legal description
E 1/2 LOT 8 - BLOCK 3 IN MAPLE-PARK ADDITION
Walk Score data provided by Walk Score®