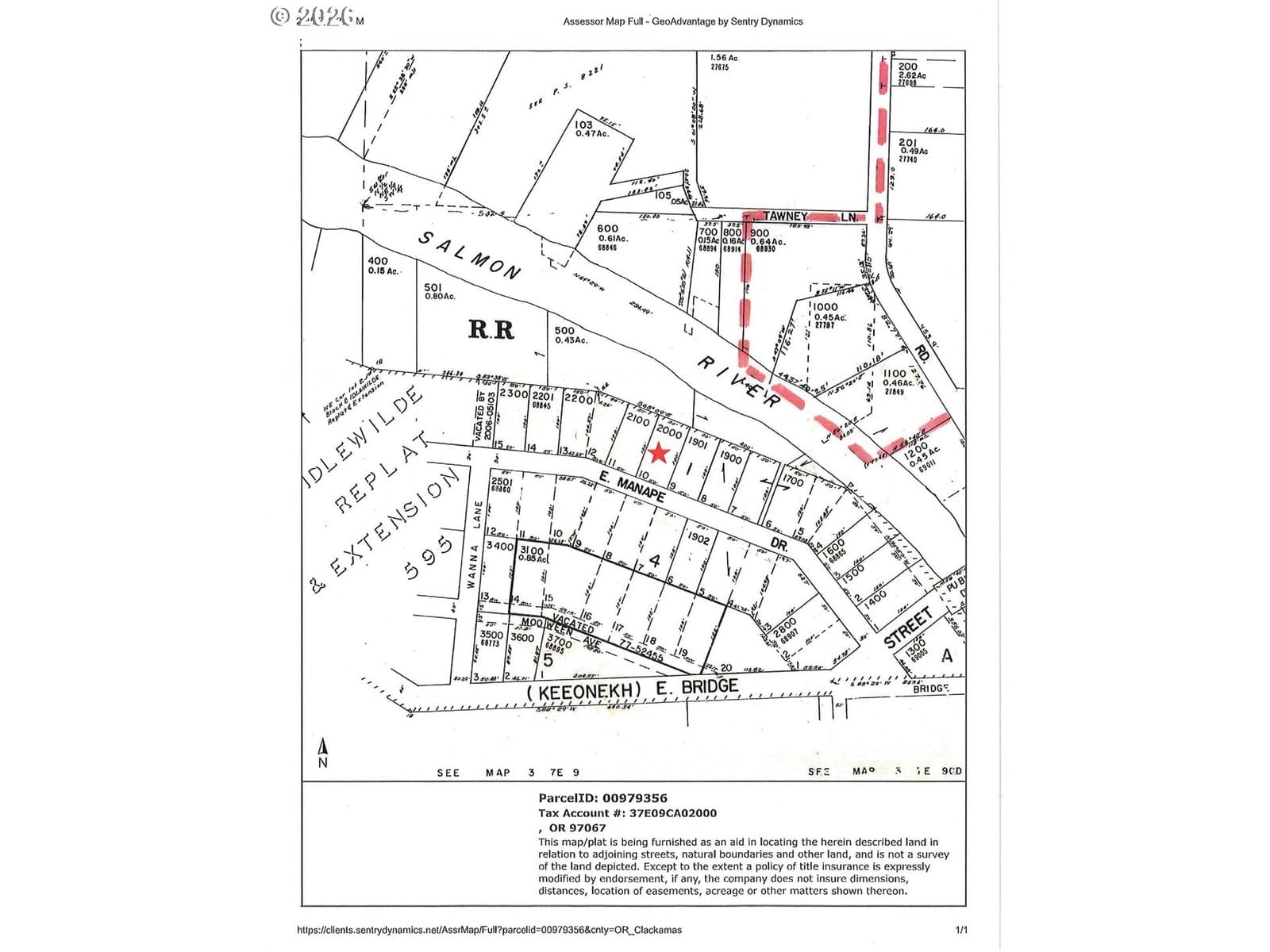
E Manape DR #10, Welches, OR, 97067 | Brantley Christianson Real Estate | Brantley Christianson Real Estate