/
$475,000
1425days on market$475,000
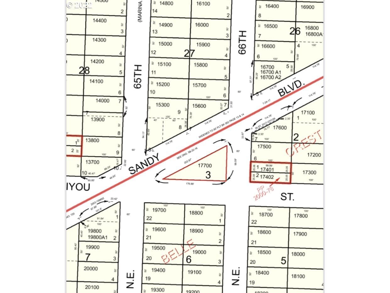
Great redevelopment opportunity on Sandy Blvd. CM2 zone is a medium-scale, commercial mixed use zone intended for sites in a variety of centers and corridors, in other mixed use areas that are well served by frequent transit, or within larger areas zoned for multi-dwelling development. Buyer to verify with city.
Legal description
BELLE CREST, BLOCK 3 EXC PT IN ST
Walk Score data provided by Walk Score®